Category: Uncategorized
-
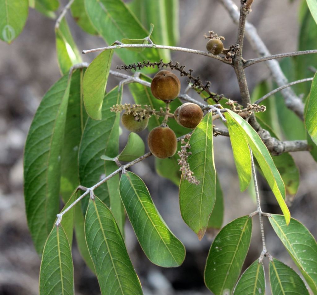
Katilayu – Morfologi, Getah, Manfaat & Cara Pengolahan

Pohon katilayu dengan nama latin Erioglossum rubiginosum ini lebih dikenal karena getahnya yang memiliki aneka manfaat dan nilai jual tinggi. Umumnya, getah katilayu memiliki bentuk seperti kemenyan yang mengeras berwarna …selengkapnya The post Katilayu – Morfologi, Getah, Manfaat & Cara Pengolahan appeared first on RimbaKita.com.https://ouo.io/QJrbL0
-
Iguana – Jenis, Habitat, Cara Pelihara, Keunikan & Beda Dengan Bunglon

Iguana adalah salah satu jenis reptil dengan ciri adanya gelambir pada rahang bagian bawah. Hewan melata berdarah dingin ini sering salah disamakan dengan bunglon, sebab keduanya berbeda. Selain buaya, iguana …selengkapnya The post Iguana – Jenis, Habitat, Cara Pelihara, Keunikan & Beda Dengan Bunglon appeared first on RimbaKita.com.https://ouo.io/C61wT9
-
Angin Muson – Pengertian, Sejarah, Jenis & Dampak

Angin Muson – Kita mengenal berbagai macam fenomena alam, salah satu contohnya adalah angin. Apakah angin itu? Angin adalah aliran udara dalam jumlah besar yang bergerak karena rotasi bumi atau …selengkapnya The post Angin Muson – Pengertian, Sejarah, Jenis & Dampak appeared first on RimbaKita.com.https://ouo.io/tV8VIG
-
Bunga Cempaka – Asal, Morfologi, Jenis, Manfaat, Menanam & Merawat

Indonesia adalah salah satu negara yang memiliki kekayaan alam sangat bervariasi, salah satunya adalah tumbuhan bunga-bungaan. Bunga telah lama dimanfaatkan oleh masyarakat Indonesia sebagai sumber wangi-wangian dan tanaman hias, contohnya …selengkapnya The post Bunga Cempaka – Asal, Morfologi, Jenis, Manfaat, Menanam & Merawat appeared first on RimbaKita.com.https://ouo.io/aDQ7awK
-
Sejarah Kopi Dunia & Indonesia – Asal, Legenda, Sebaran & Perdagangan

Berbagai catatan masa lampau menyatakan sejarah kopi bermula pada abad ke-9 di dataran Afrika, tepatnya dari negara Ethiopia dan Eritrea. Secara lebih spesifik, nama daerah asal tanaman kopi pada masa …selengkapnya The post Sejarah Kopi Dunia & Indonesia – Asal, Legenda, Sebaran & Perdagangan appeared first on RimbaKita.com.https://ouo.io/kD6qM94
-
Hutan Buatan – Pengertian, Ciri, Jenis, Manfaat & Dampak

Menurut sifat pembuatan atau pembentukkan hutan, hutan dibagi menjadi dua, yakni hutan alam dan hutan buatan. Natural forest atau hutan alam adalah hutan yang terbentuk secara alami atau murni dari …selengkapnya The post Hutan Buatan – Pengertian, Ciri, Jenis, Manfaat & Dampak appeared first on RimbaKita.com.https://ouo.io/a78sPnt
-
Sumber Daya Alam – Pengertian, Jenis, Manfaat, Contoh & Sebaran di Indonesia

Untuk memenuhi seluruh kebutuhan hidupnya, makhluk hidup menggantungkan diri terhadap sumber daya alam (SDA) yang ada di bumi. SDA atau resources tersebut dimanfaatkan oleh manusia untuk mendukung kehidupan demi mencapai …selengkapnya The post Sumber Daya Alam – Pengertian, Jenis, Manfaat, Contoh & Sebaran di Indonesia appeared first on RimbaKita.com.https://ouo.io/NpH6kX
-
Hutan Kota – Pengertian, Bentuk dan Manfaat

Jumlah kawasan terbuka hijau di perkotaan seringkali tidak seimbang dengan pembangunan kota. Oleh sebab itu, hutan kota mulai banyak digarap dan dilestarikan sebagai upaya untuk mengurangi dampak lingkungan kota yang …selengkapnya The post Hutan Kota – Pengertian, Bentuk dan Manfaat appeared first on RimbaKita.com.https://ouo.io/X28wri
-
117 Tari Daerah di Indonesia – Jenis, Asal Provinsi, Gambar & Penjelasan

Kekayaan budaya Indonesia sudah tidak perlu diragukan lagi, salah satunya adalah kesenian tari daerah tradisional. Tarian adat dari Indonesia telah di akui dunia sebagai salah satu yang terbaik. Seperti tarian …selengkapnya The post 117 Tari Daerah di Indonesia – Jenis, Asal Provinsi, Gambar & Penjelasan appeared first on RimbaKita.com.https://ouo.io/eZad4pD
-
Pohon Merbau – Sebaran, Manfaat Kayu & Perdagangan

Merbau adalah salah satu jenis kayu keras dengan kualitas tinggi yang dihasilkan dari pohon anggota suku Fabaceae (Leguminosae). Bahkan karena tingkat kekerasannya, pohon ini memiliki julukan sebagai kayu besi di …selengkapnya The post Pohon Merbau – Sebaran, Manfaat Kayu & Perdagangan appeared first on RimbaKita.com.https://ouo.io/ZNgH78